Layout:
Showing 1-20 of 142
-
Baron Echo Tops
The real Baron Echo Tops -
SRV/M enhanced
I have reworked a new SRV/M which enhances the depiction of a strong rotation and looks amazing see images under thumbnail Read MoreNotes : SRV only -
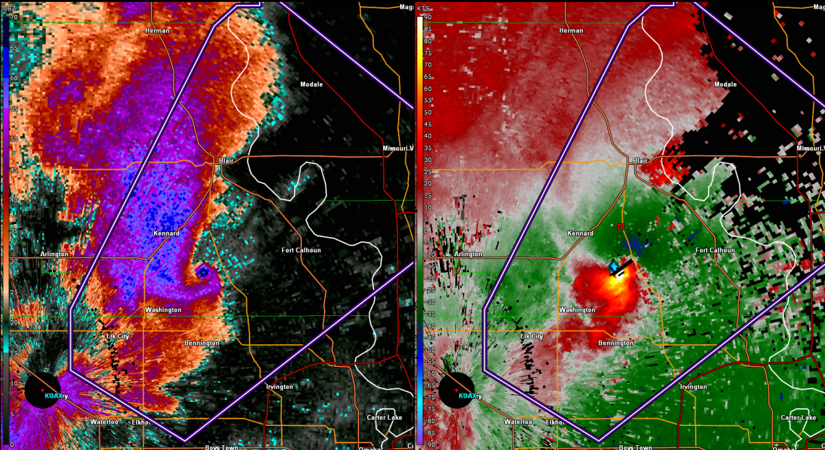
SRV rcpd33's custom pal
This is my pallet I have been trying to make to pick out less sensitive spots of rotation , in other words I wanted something that would pop out rotation very clearly and I may have perfected it. this pallet uses MPH and consists of green, red , slight bright tan, slight bright blue and black, and absolute 0 is color white the purple is RF. I hope you enjoy and find useful, note this product is SRV/M (not base velocity) Read MoreNotes : For SRV only -
Thy Dow Table Setup
My Finalized Dow Table Edits For Base Velocity and Base Reflectivity!!! -
News 25 Wind Velocity First Warning Doppler
* Note This Table Only Works In WeatherFront, RadarScope Currently. My Version Of News 25’s Old school Base Velocity. You’ll Probably Recognize This ColorTable From Their coverage on The 11-6-2005 Evansville/NewBurgh/Boonville tornado Back When News 25 Used the Baron Fastrac Radar System. Read More -
Old school Style Of Correlation Coefficient
Note* This currently only works In RadarScope, SupercellWX & WeatherFront. I will eventually Integrate This Table into GRLevel Analyst & 3. Old school style Of Correlation Coefficient. Read More -
Raxpole/Dow but Actually Good Now
A custom made ver of the Raxpole/Dow base reflectivity table.Notes : A BR Table. -
My Version Of The Baron Lynx 24HR Precip Totals Colortable
My Version of Baron's 24HR Precip totals. Scale goes up to 15IN
-
ADC's WCTV PInpoint Doppler radar from the 2000s
My Replica of the WCTV PinPoint Radar Same One From the Mid 2000s Circa The ADC Radar, It's almost the same as the original Only difference is that I Converted the Precip IN/HR To DBZ. Read More
-
KRIS-6-TV Storm total Precip
Not the exact one but quite closeNotes : Not the exact one but close
-
WSI STORM TOTAL RAINFALL
The classic wsi rainfall. -
Baron MEHS
Baron Lynx Hail Tracker
-
DarkEspeon's BR (Expert)
My personal custom BR based on the NSSL 3 and Apoc's BR colortables. -
Baron ZR and Baron IP
These are the pink versions of the Mix palettes.
-
Baron ZDR
My version of the ZDR from Baron. Read More
-
TV NROT
This is commonly seen when TV stations switch to "shear detector" or a similar named product. This NROT color table is a complete replica. This was uploaded to this site before but got removed with an old account. This is the same as before! (There isn't a NROT color table category. With that in mind, it will be put in the reflectivity section) Read More -
Custom Baron
This is a color table that RadarOmega used while screenshotting radar or showcasing radar in an update. This is a complete replica. Yes this was uploaded before. Got deleted with a past account. This is the same file as before! Read More -
The Weather Channel's Hi-Res Reflectivity
This was a reflectivity color table that The Weather Channel used from the late 2000s into the 2010s. This is a complete replica. Yes this was uploaded before. Got deleted with a past account. Same file! Read More -
BV table
BV tableNotes : table
-
BR Table
colortableNotes : A custom made BR Table
